Fenômeno vem ganhando intensidade em pouco tempo e pode ter ventos de até 260 km/h
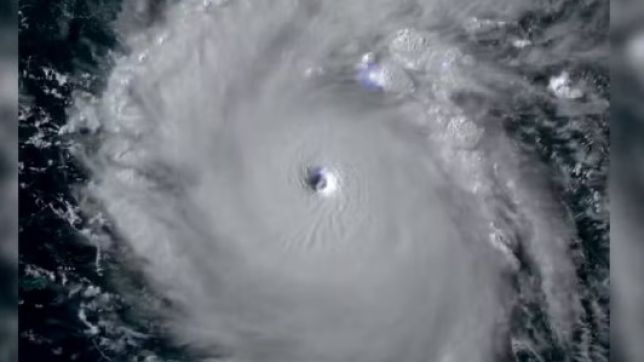
O furacão "Beryl", que avança pelo Caribe, ganhou força e foi reclassificado para a categoria 5 — a maior na escala de medidas Saffir-Simpson. O fenômeno, que já recebeu status de "extremamente perigoso", pode atingir ventos de até 260 km/h.
O Centro Nacional de Furacões dos Estados Unidos (NHC, na sigla em inglês) informou na noite desta segunda-feira (1º) que o furacão está a cerca de 1.500 km da Jamaica, com "potencial catastrófico".
A expectativa é que o furacão atravesse a Jamaica na quarta-feira (3). As previsões do NHC indicam para chuvas fortes com risco de inundações em algumas áreas do país.
Veja também

Após alerta do Instagram, Embaixada dos EUA aciona polícia brasileira
Diretor de escola acusado de pedofilia é condenado a 17 anos de prisão
Durante a semana, o furacão continuará avançando pelo Caribe em direção à costa do México. No entanto, as autoridades projetam que o fenômeno perca força ao longo dos dias.
Ainda assim, alertas foram emitidos para as Ilhas Cayman, Belize e para cidades que estão no sudoeste do Golfo do México.
INTENSIDADE
O furacão Beryl é o primeiro grande furacão da temporada e o maior já registrado nessa época do ano.
O Beryl começou a se formar na última semana como uma instabilidade e foi ganhando força. Veja a cronologia:
25 de junho: começa uma instabilidade na atmosfera, favorecendo a formação de uma tempestade;
28 de junho: o que era uma instabilidade, ganha força seguindo em direção ao Caribe e se transforma em uma tempestade tropical. Até aqui, a previsão era de ventos de 56 km/h;
30 de junho: passou a ser classificado como furacão e entrou na categoria 3 (de uma classificação que vai até 5)
Ainda no dia 30 de junho: passou a categoria 4, com alerta de extremo perigo, com ventos de até 240 km/h.
1º DE JULHO: RECLASSIFICADO PARA A CATEGORIA 5.
/i.s3.glbimg.com/v1/AUTH_59edd422c0c84a879bd37670ae4f538a/internal_photos/bs/2024/J/o/GmAgtwSzWdeWLOaYLQag/025202.png)
Foto: Reprodução
Segundo o NHC, uma tempestade tão poderosa no início da temporada de furacões, que vai de junho ao final de novembro no Atlântico, é extremamente rara.
Especialistas afirmam que o Beryl ganhou essa proporção em tão pouco tempo por causa das águas ferventes do oceano. As temperaturas na região onde a tempestade se formou estão até 3°C acima da média.
Curtiu? Siga o PORTAL DO ZACARIAS no Facebook, Twitter e no Instagram.
Entre no nosso Grupo de WhatApp, Canal e Telegram
No fim de maio, a Administração Nacional Oceânica e Atmosférica dos Estados Unidos (NOAA) já havia adiantado que a temporada de furacões deste ano seria "extraordinária", com até sete tempestades de categoria 3 ou superior.
Fonte: G1