Número de desaparecidos diminuiu para seis, depois de o estado de Guerrero, onde fica Acapulco, informar que eram 36
Subiu para 48 o número de mortos confirmados no México após a passagem do furacão Otis. O fenômeno escalou para a categoria 5, e atingiu Acapulco, com ventos de 260 km/h e rajadas de até 315 km/h, na última quarta-feira (25/10).
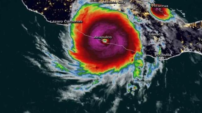
Veja a passagem do fenômeno pelo país.
Os novos dados foram revisados pelo governo mexicano em um balanço, nesta segunda-feira (30/10), que inclui municípios vizinhos a Acapulco, principal cidade atingida pelo furacão, como Coyuca Benítez, onde mais cinco mortes foram incluídas.
Veja também

Conselho da ONU faz reunião de emergência sobre guerra Israel-Hamas
Mais de 8.300 pessoas morreram em Gaza, diz Hamas em novo balanço
O mesmo balanço informa que o número de desaparecidos diminuiu para seis, depois de o estado de Guerrero, onde fica Acapulco, informar que eram 36.
São, ao todo, mais de 273 mil casas, 600 hotéis e 120 hospitais atingidos pelo furacão Otis. Doze rodovias e ruas ainda continuam bloqueadas. A consultoria Enki Research estima que os dados equivalam a cerca de U$ 15 bilhões (mais de R$ 75 bilhões).
Curtiu? Siga o PORTAL DO ZACARIAS no Facebook, Twitter e no Instagram
Entre no nosso Grupo de WhatApp e Telegram
O Ministério das Relações Exteriores do México também afirmou que os 263 estrangeiros que estavam em Acapulco estão em segurança, e que o grupo é composto por 34 americanos, 18 franceses e 17 cubanos.
Fonte: Metrópoles